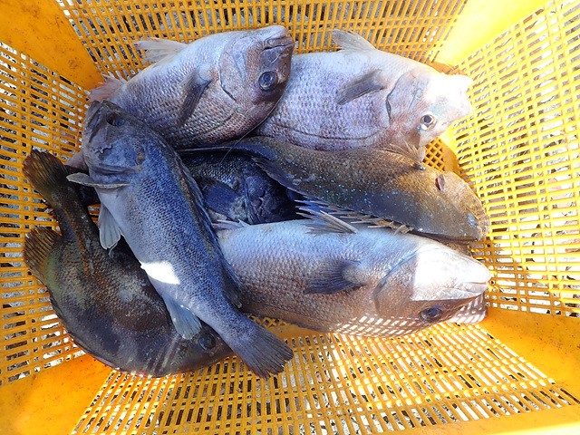
조황포스팅 (관리자 : 티그리스) 목록 [노지] [제부도낚시터] 서신바다낚시터 4월 16일 토요일 노지조황 1부 서신흑곰 분류 서신바다낚시터 댓글 0 조회 685 추천 0 비추천 0 2022.04.16 17:34 0 0 이 게시글에 달린 댓글 총 0 개 로그인한 회원만 댓글 등록이 가능합니다. 이전 다음 삭제 수정 목록 × 이미지 업로드 로그인한 회원만 등록가능합니다.